Vorwort
(1) Die Landesgrenze zwischen dem Land Burgenland und dem Land Steiermark verläuft im Bereich des Lafnitzflusses (burgenländische Gemeinde Deutsch-Kaltenbrunn, politischer Bezirk Jennersdorf - steiermärkische Gemeinde Blumau in Steiermark, politischer Bezirk Fürstenfeld) vom Grenzpunkt Nr. 8957 in der Mitte des Lafnitzflusses geradlinig von einem Grenzpunkt zum nächsten bis zum Grenzpunkt Nr. 20146.
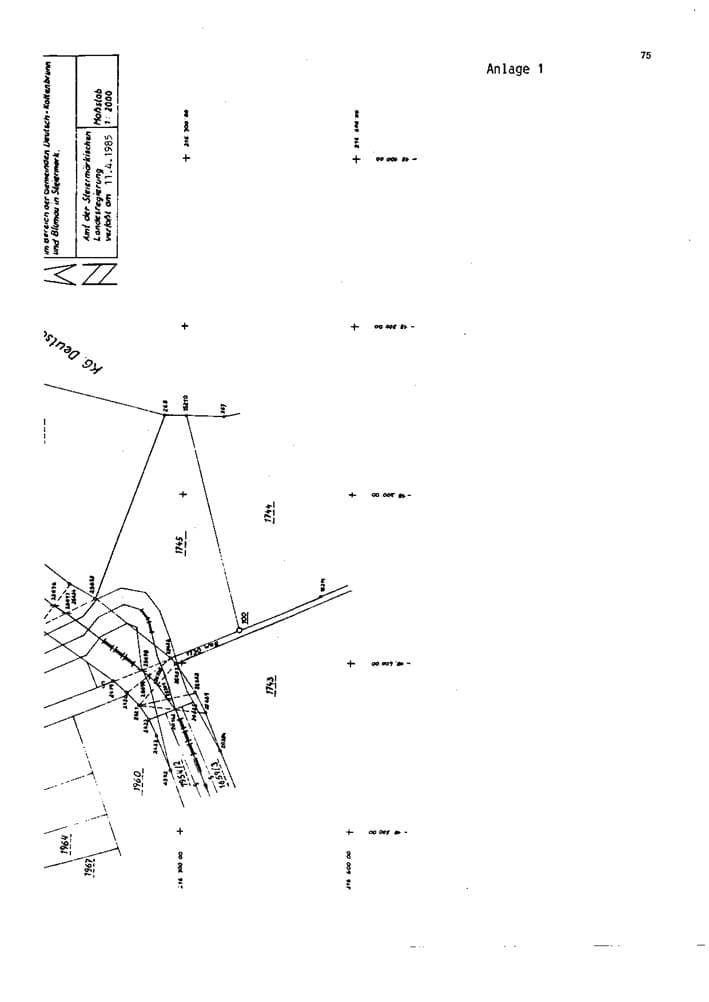
(2) Der Verlauf der Landesgrenze in der im Absatz 1 genannten Grenzstrecke und die nach Absatz 1 maßgebenden Grenzpunkte sind im Plan im Maßstab 1:2000 (Anlage 1) dargestellt. Die Koordinanten der Grenzpunkte sind im Gauß-Krüger-System (Meridian 34 Grad östlich Ferro) berechnet und im Koordinatenverzeichnis (Anlage 2) ausgewiesen.
Spätere Änderungen der Mittellinie des Lafnitzflusses haben auf den Verlauf der Landesgrenze in der im § 1 genannten Grenzstrecke keinen Einfluß.
(1) Die dem Land Burgenland aufgrund des Art. I zufallenden Gebietsteile sind entsprechend ihrem örtlichen Naheverhältnis der angrenzenden Gemeinde durch Verordnung der Landesregierung zuzuweisen.
(2) Die Zuweisung von Gebietsteilen nach Abs. 1 hat mit Zeitpunkt des Inkrafttretens der Grenzänderung gem. Art. I in Wirksamkeit zu treten. Die Verordnung darf zu diesem Zweck rückwirkend in Kraft gesetzt werden.
Art. I dieses Landesverfassungsgesetzes tritt gleichzeitig mit den nach Art. 3 Abs. 2 des Bundes-Verfassungsgesetzes in der Fassung von 1929 erforderlichen übereinstimmenden Verfassungsgesetzen des Bundes und des Landes Steiermark mit dem der Kundmachung des zuletzt verlautbarten Verfassungsgesetzes folgenden Monatsersten in Kraft.


Anhänge
LGBl 37-1987AnlagePDF
Anhänge
LGBl 37-1987 Anlage 2PDF